天津武清区各镇GDP_天津武清区地图
时间:2021-03-17 14:03 类别:热点图片
汊沽港是武清的一个乡镇,_ 你可别小看它,_ 这里不仅经济实力位居武清前列!
jpeg,525x700,124987b
16宗优质土地 天津gdp强区,武清专场推介
jpeg,854x920,143206b
2017年武清区的gdp产值是1186.59亿元,位列天津16区的top3,做为一个远郊区县,简直可以称作为神话,但这也绕不开武清政府对于城市发展的深刻理解.
jpg,399x600,89963b
由于佛罗伦萨小镇在武清,离上述
,"height":553x1000,77901b
资料获取_ 向京津大视野发送关键字:武清所辖各镇的名字,譬如汊沽港获得本镇土地规划;发送武清土地规划,读取全部乡镇土地规划.
,"height":698x966,60549b
资料获取_ 向京津大视野发送关键字:武清所辖各镇的名字,譬如汊沽港获得本镇土地规划;发送武清土地规划,读取全部乡镇土地规划.
jpg,366x500,44045b
武清杨村 武清石各庄镇怎坐车
jpg,253x500,21850b
天津市武清梅厂镇福源经济区邮编是多少
jpg,853x1280,208114b
第2名:西青区_ gdp总值1126.70亿元_ ▲杨柳青_ 天津市唯一的\"公交都市\"示范区_ nba中心、凯旋王国、佛罗伦萨小镇等成为重要旅游胜地
jpg,315x500,29056b
蓝湖郡坐落于京津黄金走廊的武清区梅厂镇,紧邻武清政治文化经济中心,是京津走廊上新兴的宜居城镇.
jpeg,543x1080,40775b
利用廊坊北部与武清区大王古庄镇交
jpg,199x300,65203b
天津市东丽区华明镇新房一景
jpg,933x700,67713b
天津市武清区汊沽镇经济开发区土地出售
jpeg,368x640,47666b
武清区石各庄镇敖东村_ 位于武清区的石各庄镇敖东村2015年引进金果梨种植,因金果梨在口感、营养价值、经济效益等方面具有多种优势,在天津国资委帮扶组的帮助下,全力打造\"雍贝\"金果梨品牌.
jpg,532x800,83685b
佛罗伦萨小镇
jpeg,379x640,42519b
武清区凯旋王国 佛罗伦萨小镇一日游图片byezli2596 旅图
jpg,421x640,30508b
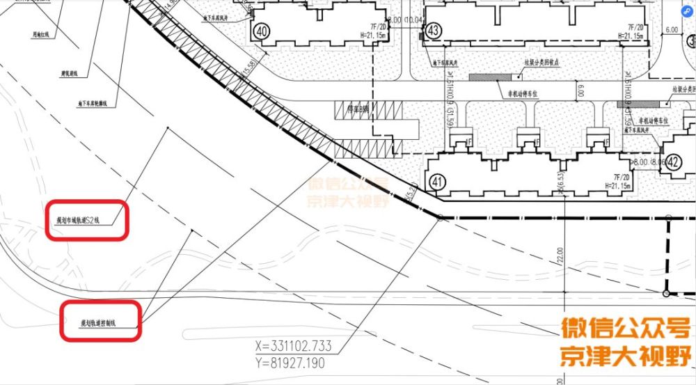
今日挂牌的地块位于武清区高村镇公学路东侧,四至为:东至凤港引渠、天津武清百川燃气销售有限公司现状燃气调压站、燃气抢修站,南至凤港引渠、公学路绿带,西至公学路绿带、武清区高村镇台头村农民集体现状空地规划公园绿地,_ 该地块起始总价19.83亿元,折合楼面价
,"height":459x700,58575b
天津武清经济开发区图册
jpg,620x514,34910b
武清最新规划的八个重点城镇与性质,看看有没有你
jpeg,837x1085,226594b
武清区高村镇一宗商业地块底价摘牌
推荐阅读
相关文章阅读
- 最新文章
- 总排名
- 每月排行
- 推荐阅读
- 阅读排行
- 延伸阅读

















